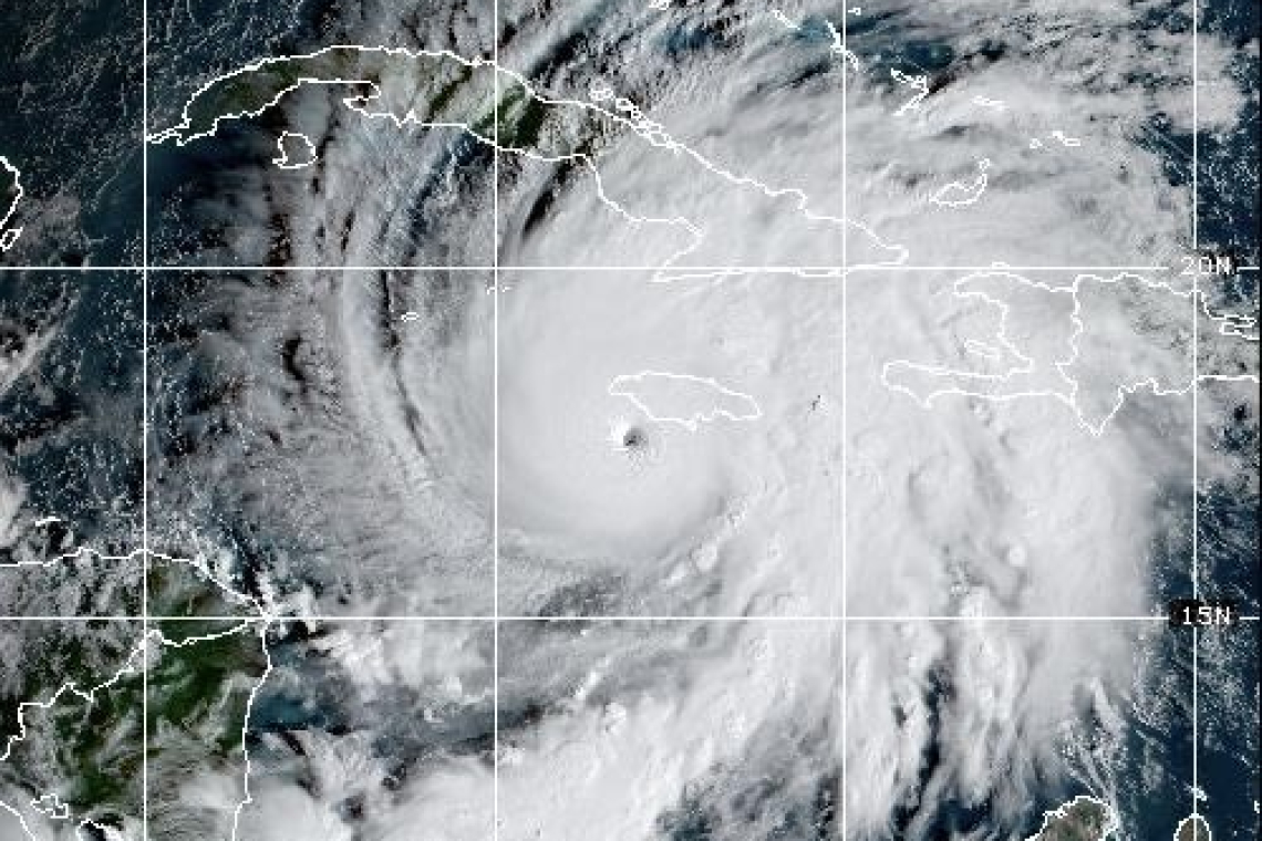
Hurricane Melissa defied many weather computer models. It was _supposed_ to have turned from a westerly movement to a northerly movement last night before 9:00 PM. It took until almost 11:00 to do so. This morning, Hurricane Hunter aircraft measured SUSTAINED winds at 180 MPH as Melissa heads directly at Jamaica
The National Hurricane Center is warning that portions of Jamaica could see forty (40) inches of rain over the next 24 hours, as the slow moving giant crosses that island.
Staggering wind speeds, gusts to slightly over two hundred (200) miles per hour, and torrential rain will all combine to smash Jamaica during today - Tuesday. The destruction and likely death toll are unimaginable.
After Melissa goes off the northern Jamaica coast, it will head toward Cuba, with eastern/southern Cuba being smashed as well later this week.
